Conducción de calor a través de una varilla
Este ejemplo muestra cómo los bloques térmicos pueden modelar una varilla de hierro larga fijada a una base caliente en un extremo y expuesta al aire a lo largo de su longitud y en el extremo libre. La varilla es una superficie extendida que se somete a conducción a lo largo de su longitud y a convección por aire en dirección perpendicular a su longitud. Las superficies extendidas se suelen usar como aletas para enfriar un sólido.
En este caso, la base está fijada a una pared con una temperatura de 100 grados Celsius. El calor se transfiere por la varilla hacia abajo mediante conducción y calienta gradualmente la masa térmica de la varilla. El calor escapa de la superficie cilíndrica de la varilla y del extremo libre mediante convección natural con el aire ambiente, que tiene una temperatura de 20 grados Celsius. Inicialmente, la temperatura de la varilla entera es igual a la temperatura del aire ambiente. La temperatura a lo largo de la varilla alcanza un estado estacionario después de aproximadamente 1.500 segundos. La varilla está hecha de hierro, tiene una longitud de 20 cm y un diámetro de 2,5 cm.
Inicialmente, este ejemplo describe los efectos térmicos fundamentales en la varilla: ley de conservación de energía, mecanismos de transferencia de calor de la conducción y la convección, y propiedad de la masa térmica. Después, este ejemplo combina los efectos térmicos para considerar dos modelos térmicos completos de la varilla. El primer modelo térmico contiene masa única concentrada, mientras que el segundo es un modelo de diferencias finitas con varias masas concentradas. Este ejemplo considera la carga computacional y los tradeoffs de fidelidad de los dos modelos térmicos distintos para la varilla. Este ejemplo compara lo bien que los modelos convergen con la solución analítica de estado estacionario.

% Model parameters % Thermal conditions T_air = 20; % Air temperature [degC] T_base = 100; % Base temperature [degC] T_init = T_air; % Initial rod temperature [degC] % Geometric parameters L = 0.2; % Rod length [m] D = 0.025; % Rod diameter [m] A = pi*D^2/4; % Rod cross-sectional area [m^2] A_cyl = pi* D * L; % Rod cylindrical surface area [m^2] % Iron material properties rho = 7800; % Iron density [Kg/m^3] k = 80.2; % Iron thermal conductivity [W/(K*m)] h = 32.1; % Convective heat transfer coefficient [W/(m^2*K)] c = 447; % Iron specific heat [J/kg/K] m = rho*A*L; % Rod mass [kg]
Ley de conservación de energía
La primera ley de termodinámica es un principio fundamental de la física que establece que la energía total de un sistema aislado se mantiene constante en el tiempo. Esta ley se expresa matemáticamente en términos de potencia como,
.
Donde:
es la tasa de variación de energía interna con respecto al tiempo (medida en W en unidades del SI).
es la tasa de calor añadido al sistema (medido en W).
es la tasa de trabajo realizado por el sistema (medido en W).
En sistemas térmicos donde no se realiza trabajo, la tasa de variación de energía interna es igual a la tasa de calor añadido al sistema,
.
En la varilla de hierro, la transferencia de calor por conducción y convección () cambia la energía interna almacenada en la masa térmica de la varilla ().
Conducción
La conducción térmica es el proceso de transferir calor a través de un material. Cuando el material se calienta, sus moléculas ganan energía cinética, lo que aumenta su movimiento. Este movimiento intensificado provoca colisiones con las moléculas adyacentes y se transfiere energía en el proceso. Esta transferencia continúa hasta que se alcanza el equilibrio térmico, lo que resulta en una temperatura uniforme en toda la sustancia.
La ecuación de conducción térmica, también conocida como ley de Fourier, describe la tasa de transferencia de calor a través de un material,
,
donde:
es el flujo de calor de extremo a extremo (medido en W).
es la conductividad térmica del material (medida en W/(K m)).
es el área normal a la dirección del flujo de calor (medida en m^2).
es el espesor en la dirección del flujo de calor (medido en m).
y son las temperaturas en cualquier extremo del elemento de transferencia de calor conductivo (medidas en degC).
Ejemplo 1: conducción de estado estacionario
Considere un escenario simplificado para la varilla: la varilla se aísla para que no se produzca ninguna transferencia convectiva del calor con el aire a lo largo de su longitud. Un calor constante de 18 W fluye por la varilla y escapa por la punta. ¿Cuál es la temperatura de la punta de la varilla?

Cuando se reorganiza la ecuación de conducción térmica, se espera que la temperatura en la punta de la varilla sea
% Example parameter Q_case_1 = 18; % Heat flow rate through rod [W] % Expected rod tip temperature T_rod_tip_steady_case_1 = T_base - L/(A*k)*Q_case_1 % [degC]
T_rod_tip_steady_case_1 = 8.5554
Abra el modelo HeatConductionThroughInsulatedIronRod para verificar la solución analítica. El modelo térmico consta de un elemento Temperature Source establecido en la temperatura base, un elemento Conductive Heat Transfer y un elemento Heat Flow Rate Source establecido en 18 W.
mdl = 'HeatConductionThroughInsulatedIronRod';
open_system(mdl);
Simule el modelo y compare los resultados de simulación con la solución analítica.
sim(mdl); % Get the simulation output T = yout; % [degC] % Display the temperature T_rod_tip_simulated_case_1 = T(end) % [degC]
T_rod_tip_simulated_case_1 = 8.5554
Los resultados de la simulación coinciden con la solución analítica.
Convección
La convección es el proceso de transferir calor a través del movimiento de un fluido. El movimiento del fluido combinado con la conducción hace que se transporte energía térmica desde zonas más calientes a zonas más frías dentro del fluido. La convección natural ocurre en un fluido debido a diferencias de densidad causadas por gradientes de temperatura. Cuando se calienta un fluido, se vuelve menos denso y suele aumentar, mientras que el fluido más frío y denso se traslada para reemplazarlo. De este modo se establece un patrón de circulación dentro del fluido, donde el calor se transporta de zonas más calientes a zonas más frías.
La ecuación de convección térmica, también conocida como ley de enfriamiento de Newton, describe la tasa de transferencia de calor desde una superficie al fluido circundante,
,
donde:
es el coeficiente de transferencia convectiva del calor (medido en W/(K m^2)).
es la superficie (medida en m^2).
y son las temperaturas de la superficie y del fluido circundante, respectivamente (medidas en degC).
Ejemplo 2: convección de estado estacionario
Considere otro escenario simplificado para la varilla. La temperatura del vástago entera se mantiene a 55 grados Celsius. La temperatura ambiente es de 20 grados Celsius y el coeficiente de transferencia convectiva del calor entre la varilla y el aire es de 32,1 W/(m^2 K). ¿Cuál es la tasa de transferencia de calor entre la superficie cilíndrica de la varilla y el aire?

Sustituya los parámetros del modelo en la ecuación de convección térmica para calcular la tasa de transferencia de calor.
% Example parameter T_cyl_uniform_case_2 = 55; % Rod uniform temperature [degC] % Expected rate of convective heat transfer Q_conv_case_2 = h * A_cyl * (T_cyl_uniform_case_2 - T_air) % [W]
Q_conv_case_2 = 17.6479
Use el modelo HeatConvectionFromIronRod para verificar la solución analítica. El modelo térmico consta de un elemento Convective Heat Transfer entre un elemento Temperature Source establecido en la temperatura de la varilla y un elemento Temperature Source establecido en la temperatura ambiente.
mdl = 'HeatConvectionFromIronRod';
open_system(mdl);
Simule el modelo y compare los resultados de simulación con la solución analítica.
sim(mdl); % Get the simulation output Q = yout; % [W] % Display the rate of heat transfer Q_conv_simulated_case_2 = Q(end) % [W]
Q_conv_simulated_case_2 = 17.6479
Los resultados simulados coinciden con la solución analítica.
Masa térmica
La masa térmica refleja la capacidad de un material para almacenar y liberar energía térmica. La variación de energía interna de una masa térmica se representa con la ecuación,
,
donde:
es la tasa de variación de energía interna con respecto al tiempo (medida en W).
es el calor específico del material (medido en J/(Kg K)).
es la masa (medida en kg).
es la temperatura (medida en degC o K).
La tasa de variación de energía interna del material, , es proporcional a su tasa de variación de la temperatura, . La capacidad térmica específica, , representa la cantidad de energía requerida para cambiar la temperatura de una unidad de masa del material en un grado. La masa térmica extensa, , ralentiza las variaciones de temperatura en un sistema.
Ejemplo 3: respuesta de temperatura transitoria en una masa térmica
Considere un escenario simplificado de la varilla. En este escenario, un calor de 18 W fluye a una varilla perfectamente aislada. Para simplificar, suponga que toda la varilla se calienta uniformemente. ¿A qué ritmo aumentará la temperatura de la varilla?

Utilizando la primera ley de termodinámica, el calor que fluye a la varilla aislada equivale a la variación de energía interna de la varilla,
.
Reorganice la ecuación para obtener la tasa de variación de temperatura.
% Example parameter Q_case_3 = 18; % Heat flow rate through rod [W] % Expected rate of temperature change dT_dt_case_3 = Q_case_3 / (c*m) % Rate of temperature change [degC/sec]
dT_dt_case_3 = 0.0526
Use el modelo ThermalMassIronRod para verificar la solución analítica.
mdl = 'ThermalMassIronRod';
open_system(mdl);
Simule el modelo y compruebe que los resultados de simulación coincidan con la solución analítica.
sim(mdl); % Get the simulation output T = yout; % [degC] t = tout; % [sec] % Calculate rate of temperature change dT = T(end) - T(1); dt = t(end) - t(1); dT_dt_simulated_case_3 = dT / dt % [degC/sec]
dT_dt_simulated_case_3 = 0.0526
Los resultados simulados coinciden con la solución analítica.
Varilla con comportamiento térmico transitorio
Combine elementos conductivos, convectivos y de masa térmica para modelar por completo la varilla con comportamiento transitorio. La varilla tiene una temperatura base de 100 grados Celsius. La varilla se somete a conducción en toda su longitud y a convección de calor natural por aire a lo largo de su longitud y en la punta. Inicialmente, la temperatura de la varilla es igual a la temperatura del aire ambiente de 20 grados Celsius.

Modelo de varilla de masa concentrada
Un modelo simple para capturar el comportamiento térmico transitorio de la varilla contiene una única masa térmica. Abra el modelo HeatConductionTroughIronRodLumped.
lumped_mass_model = 'HeatConductionThroughIronRodLumped';
open_system(lumped_mass_model)
Abra el subsistema Rod.
open_system([lumped_mass_model '/Rod'])
En el modelo Rod, un nodo intermedio entre dos elementos Conductive Heat Transfer divididos equitativamente representa el punto medio de la varilla. Una única masa térmica en el nodo intermedio modela la masa de la varilla entera y mantiene la temperatura del punto medio. Los elementos Conductive Heat Transfer modelan la convección desde la superficie cilíndrica y el punto final de la varilla hasta la atmósfera circundante.
Utilizando la primera ley de termodinámica, la tasa de variación de energía interna de la masa térmica equivale al flujo de calor neto a través del nodo intermedio:
.
El flujo de calor neto al nodo se debe a la conducción desde la base, la convección con el aire a lo largo de la superficie cilíndrica y la conducción/convección en la punta de la varilla:
.
En la parte izquierda del nodo intermedio, el calor fluye al nodo a consecuencia de la conducción desde la base:
,
donde es la temperatura del nodo intermedio.
A lo largo de la superficie cilíndrica de la varilla, el calor sale del nodo a consecuencia de la convección con el aire:
.
En la parte derecha del nodo intermedio, el calor sale por conducción por la varilla y, después, por convección entre la punta de la varilla y el aire:
,
,
donde es la temperatura de la punta de la varilla, que corresponde a la unión del puerto Conduction1B B y del puerto Convection End A del modelo de Simscape™. Reorganice las ecuaciones de para eliminar :
.
Si se sustituyen las expresiones de flujo de calor y la expresión de variación de energía interna de la masa térmica en la ecuación de conservación de la energía, se obtiene la ecuación diferencial que rige para la temperatura de la varilla, :
.
La red de Simscape suma la transferencia de calor en los nodos y es equivalente a esta ecuación diferencial.
Modelo Segmented Rod
Un modelo más complejo para capturar el comportamiento térmico transitorio de la varilla consta de varias masas térmicas. Abra el modelo Segmented Rod.
segmented_mass_model = 'HeatConductionThroughIronRodSegmented'; open_system(segmented_mass_model) % Model parameters that are not already defined in the live script num_segments = 9; % [-]

Abra el subsistema Segmented Rod.
open_system([segmented_mass_model '/Segmented Rod'])
El modelo Segmented Rod representa la varilla como un conjunto de nueve segmentos conectados en serie. Cada segmento tiene la misma estructura que el modelo de masa única concentrada y contiene:
Una masa térmica que es 1/9 de la masa térmica total,
Dos elementos de transferencia del calor conductivos que son 1/18 de la longitud de la varilla cada uno.
Un elemento de transferencia del calor convectivo que tiene 1/ de la superficie cilíndrica total.
En este ejemplo, la opción de nueve segmentos no es estrictamente necesaria. Si se elige un número impar de segmentos, el nodo se coloca en el punto medio. En general, si se aumenta el número de segmentos, la solución converge más con la solución analítica. Después de un número suficiente de segmentos, añadir más segmentos tiene un efecto insignificante en la convergencia. Puede modificar este ejemplo para añadir más segmentos.
Utilice la primera ley de termodinámica para definir la ecuación que rige para la temperatura de nodo en cada segmento. La tasa de variación de energía interna en cada segmento equivale al flujo de calor neto a través del segmento:
.
La tasa de variación de energía interna almacenada en el segmento es:
,
donde:
es la temperatura del nodo .
es la masa térmica de cada segmento.
El flujo de calor a través de los segmentos 1-8 se debe a la conducción desde la izquierda, la convección con el aire a lo largo de la superficie cilíndrica y la conducción hacia la derecha. Para el 9º segmento, también se produce convección en la punta de la varilla como parte del flujo de calor hacia la derecha:
.
La conducción de calor desde la izquierda al segmento es:
,
donde:
es la longitud de cada segmento.
La convección de calor desde la superficie cilíndrica del segmento es:
.
donde:
es la superficie cilíndrica de cada segmento.
La conducción de calor hacia la derecha para los 1/8º segmentos es:
,
La conducción y convección de calor hacia la derecha para el 9º segmento es:
,
,
donde es la temperatura de la punta de la varilla, que corresponde a la unión del puerto Conduction9B B y el puerto Convection End A del modelo de Simscape. Después de reorganizar las ecuaciones de para eliminar , el flujo de calor hacia la derecha para el 9º segmento es:
.
Si se sustituyen las expresiones del flujo de calor y la variación de energía interna de la masa térmica en la ecuación de conservación de energía, se obtienen las ecuaciones diferenciales que rigen para la temperatura a lo largo de la varilla, ,
, para
, para
, para
La red de Simscape suma la transferencia de calor en los nodos y es equivalente a estas ecuaciones diferenciales.
La tasa de variación de la temperatura nodal depende de la temperatura de los nodos adyacentes (i-1º e i+1º). La masa térmica de cada segmento ralentiza la tasa de variación de temperatura del segmento. Estas características permiten al modelo capturar el efecto de una onda térmica que baja gradualmente por la varilla.
Simular y comparar modelos Rod
Simule los modelos y obtenga las salidas de simulación.
% Simulate the single lumped mass model open_system(lumped_mass_model); sim(lumped_mass_model); % Get the simulation outputs T_Lumped = yout_lumped_mass_model(:,1); % Sensed temperature [degC] Q_Lumped = yout_lumped_mass_model(:,2); % Sensed base heat transfer rate [W] time_Lumped = tout_lumped_mass_model; % [sec] % Simulate the segmented mass model open_system(segmented_mass_model); sim(segmented_mass_model); % Get the simulation outputs T_Segmented = yout_segmented_mass_model(:,1:5); % Sensed temperatures [degC] Q_Segmented = yout_segmented_mass_model(:,6); % Sensed base heat transfer rate [W] time_Segmented = tout_segmented_mass_model; % [sec]
Temperaturas simuladas
Represente las temperaturas simuladas.
figure; clf; hold on; plot(time_Lumped, T_Lumped, '--', 'Color', [0.49 0.18 0.56]) plot(time_Segmented, T_Segmented); xlabel('Time (sec)') title('Temperature (degC)') legend('Lumped rod (midpoint)', 'Segment 1', 'Segment 3', 'Segment 5 (midpoint)', 'Segment 7', 'Segment 9', 'Location', 'best')

Esta gráfica muestra las temperaturas simuladas de las masas térmicas en el modelo Rod de masa única concentrada y en el modelo Segmented Rod.
El modelo Segmented Rod captura varios efectos que son ignorados por el modelo Rod de masa única: Los segmentos más alejados de la base caliente presentan retardos más largos antes de que la temperatura comience a aumentar. Contar con varios segmentos también permite medir el gradiente de temperatura a lo largo de la varilla. Los segmentos más alejados de la base caliente presentan temperaturas de estado estacionario menores que las de los segmentos más cercanos a la base caliente.
Por otro lado, el modelo de masa única concentrada, que es mucho más simple, captura el comportamiento general de la temperatura del punto medio de la varilla y tiene una carga computacional de simulación menor. La gráfica muestra que el modelo de masa única concentrada subestima la temperatura del punto medio de estado estacionario. Las diferentes temperaturas de punto medio de estado estacionario se deben a la manera en que el sistema de masa única concentrada modela la temperatura de toda la superficie cilíndrica como equivalente a la temperatura del punto medio, subestimando así la transferencia convectiva del calor entre la base y el punto medio, mientras se sobrestima la transferencia convectiva del calor entre el punto medio y la punta.
Transferencia de calor de la base
Represente las tasas de transferencia de calor simuladas de la base.
figure; clf; hold on; plot(time_Lumped, Q_Lumped, '--') plot(time_Segmented, Q_Segmented); xlabel('Time (sec)') title('Base Heat Flow') legend('Lumped rod', 'Segmented rod', 'Location', 'best')

Esta gráfica muestra la transferencia de calor simulada desde la base hacia la varilla para ambos modelos. El modelo de masa única concentrada subestima la transferencia de calor en comparación con el modelo Segmented Rod. El modelo de masa única concentrada sobrestima la resistencia térmica de la varilla modelando la convección completa de la superficie cilíndrica entre el punto medio de la varilla y el aire, en lugar de puntos distribuidos por la varilla y el aire. Los puntos de la varilla más cercanos a la base caliente presentan temperaturas más elevadas y, por ello, más transferencia convectiva del calor que puntos más alejados de la base.
Carga computacional
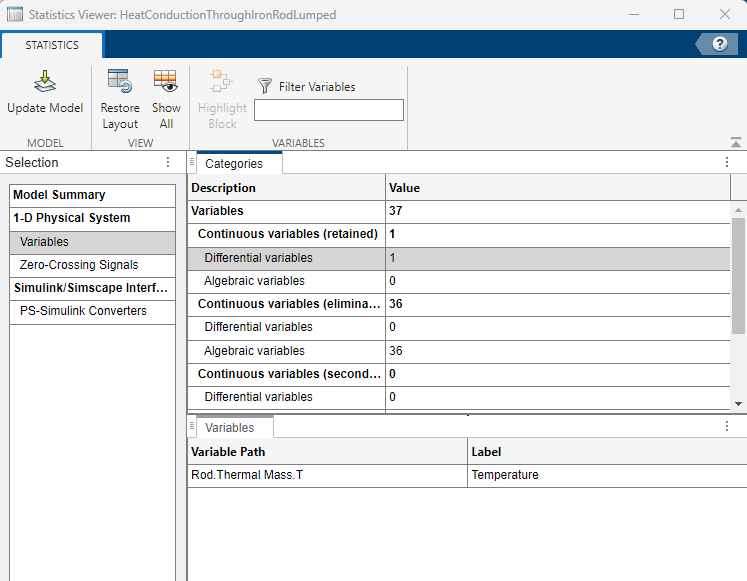
El modelo Rod de masa única concentrada contiene una variable diferencial, mientras que el modelo Segmented Rod contiene 9 variables diferenciales: una variable diferencial por cada masa térmica (grado de libertad) del sistema. Los modelos con más variables diferenciales suelen tener una mayor carga computacional y requieren más capacidad de cálculo para la simulación.
Statistics Viewer de Simscape confirma el número de variables diferenciales de cada modelo. Para ver las estadísticas de modelo, en la ventana del modelo, en la pestaña Debug, haga clic en Simscape > Statistics Viewer.
Para simulaciones de mayor fidelidad, puede ampliar la cantidad de segmentos.


Comparación con solución analítica de estado estacionario
Para una varilla con un área de sección transversal constante sujeta a conducción y convección a lo largo de su longitud, la ecuación diferencial que rige la temperatura de estado estacionario a lo largo de la varilla es:
,
donde es la distancia longitudinal desde la base.
Este ejemplo considera una varilla con las siguientes condiciones límite:
La base tiene una temperatura fija, .
En la punta de la varilla, la transferencia de calor debida a la conducción es igual a la transferencia de calor debida a la convección,
La solución a la ecuación diferencial lineal, homogénea y de segundo orden sujeta a las condiciones límite dadas es [1]:
,
donde
.
La tasa de transferencia de calor a través de la base de la varilla es:
[1] Incropera, DeWitt, Bergman, Lavine, Fundamentals of Heat and Mass Transfer. 6th Ed, Section 3.6. John Wiley & Sons, 2006.
Calcule las temperaturas analíticas de estado estacionario y el flujo de calor para los parámetros de la varilla.
% Temperature at the mid-point x = L/2; m_eqn = sqrt(h*pi*D/(k*A)); T_mid_analytical_ss = ( cosh(m_eqn*(L-x)) + h/(m_eqn*k) * sinh(m_eqn*(L-x)) ) / ( cosh(m_eqn*L) + h/(m_eqn*k) * sinh(m_eqn*L) ) * (T_base - T_air) + T_air % [degC]
T_mid_analytical_ss = 60.9884
% heat flow out the base Q_base_analytical_ss = sqrt(h*pi*D*k*A)*(T_base-T_air) * ( sinh(m_eqn*L) + h/(m_eqn*k) * cosh(m_eqn*L) ) / ( cosh(m_eqn*L) + h/(m_eqn*k) * sinh(m_eqn*L) ) % [W]
Q_base_analytical_ss = 23.4123
Represente las soluciones analíticas de estado estacionario junto con las soluciones simuladas. Las siguientes gráficas muestran que el modelo segmentado con 9 segmentos casi ha convergido con la solución analítica, mientras que el modelo de masa única concentrada contiene un error. El aumento de la cantidad de segmentos mejoraría aún más la convergencia con la predicción analítica.
figure; clf; hold on; plot([1000 2500], T_mid_analytical_ss*[1 1], 'LineWidth', 2) plot(time_Lumped, T_Lumped, '--', 'Color', [0 0.6 0]) plot(time_Segmented, T_Segmented); xlabel('Time (sec)') title('Steady-State Temperature (degC)') legend('Analytical solution', 'Lumped rod (midpoint)', 'Segment 1', 'Segment 3', 'Segment 5 (midpoint)', 'Segment 7', 'Segment 9', 'Location', 'best') xlim([1000 2500]) % Zoom into the steady-state time region

% Plot the base heat transfer rate figure; clf; hold on; plot([1000 2500], Q_base_analytical_ss*[1 1], 'LineWidth', 2) plot(time_Lumped, Q_Lumped, '--') plot(time_Segmented, Q_Segmented); xlabel('Time (sec)') title('Steady-State Base Heat Flow') legend('Analytical solution', 'Lumped rod', 'Segmented rod', 'Location', 'best') xlim([1000 2500]) % Zoom into the steady-state time region

Consulte también
Thermal Mass | Conductive Heat Transfer | Convective Heat Transfer | Heat Flow Rate Source | Heat Flow Rate Sensor